Fiji

Wood hits hattrick as rampant New Zealand move to brink of World Cup

Chris Wood scored a hat-trick of headers as New Zealand moved to within one win of the World Cup with a 7-0 demolition of Fiji on Friday.
21 March 2025, 09:19 AM

Fiji and Poland launch Talanoa Dialogue at COP23

The 23rd Conference of Parties (COP23) of the United Nations Framework Convention on Climate Change (UNFCCC) ended in Bonn, Germany, on Saturday morning, as negotiations ran overtime by a day.
21 November 2017, 18:00 PM

Fiji cyclone death toll rises 29

Humanitarian aid has begun pouring into Fiji as the death toll from super-cyclone Winston rose to 29 and officials warn the devastated Pacific nation's recovery could take months.
23 February 2016, 04:38 AM

Clean-up begins in Fiji after cyclone

A clean-up operation begins after the most severe cyclone to hit Fiji in living memory killed at least 20. Rescue workers say that number could rise as some of the worst-hit outlying islands have yet to be reached.
22 February 2016, 05:32 AM

Cyclone Winston wreaks destruction in Fiji

Authorities in Fiji are assessing the damage after the most powerful cyclone in the Pacific nation's history, which left one person dead.
21 February 2016, 04:28 AM

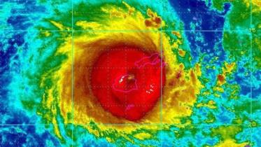
Cyclone Winston: Fiji braces for powerful storm

Fiji is braced for the arrival of Cyclone Winston, in what could be the Pacific island nation's most powerful storm on record.
20 February 2016, 11:19 AM

England give Fiji a 299-run burial

Dan Lawrence and Jack Burnham's centuries give England U19 a massive win over Fiji U19 in their Group C game in Chittagong today.
27 January 2016, 11:07 AM