Australia scientists claim first re-creation of coronavirus outside China

By Reuters, Sydney

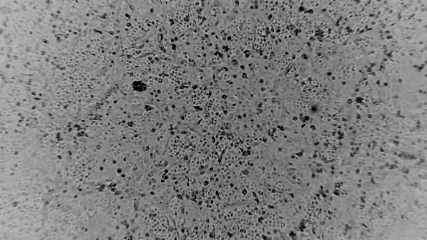
A team of scientists in Australia said on Wednesday they have successfully developed a lab-grown version of coronavirus, the first to be recreated outside of China, in a breakthrough that could help combat the global spread of the illness.

The researchers at the Peter Doherty Institute for Infection and Immunity in Melbourne said they would share the sample, which was grown from an infected patient, with the World Health Organization and laboratories around the world.

A laboratory in China had successfully grown the virus but had released only the genome sequence, not the sample itself, the Australian Broadcasting Corp. reported.

"Having the real virus means we now have the ability to actually validate and verify all test methods, and compare their sensitivities and specificities", the Doherty Institute's virus indentification laboratory head, Julian Druce, said in a statement.

"The virus will be used as positive control material for the Australian network of public health laboratories, and also shipped to expert laboratories working closely with the World Health Organization (WHO) in Europe."

The flu-like virus broke out in the central Chinese city of Wuhan at the end of last year and has killed 106 people and infected more than 2,800 people. It spreads in droplets from coughs and sneezes and has an incubation period of up to 14 days.

The Australia-grown virus sample would be used to generate an antibody test, which would allow detection of the virus in patients who had not shown symptoms, as well as contributing to the creation of a vaccine, the institute said.

The virus was grown from a patient who had arrived at the institute on Jan. 24, it added.

The Peter Doherty Institute is a joint venture of the University of Melbourne and Royal Melbourne Hospital.